Sự ra đời của Nữ hoàng các dòng trà
Trong quá trình trồng chè, vấn đề sâu bệnh hại là một trong những vấn đề được bà con nông dân quan tâm hàng đầu. Bởi các loại sâu bệnh gây ảnh hưởng tới sự phát triển cũng như chất lượng sản phẩm chè. Đặc biệt, rầy xanh là loại sâu bọ thường gây thiệt hại lớn nhất đối với cây chè.
Tuy nhiên, theo báo Vnexpress, ở Phja Đén (đọc là Phia Đén), xã Thành Công, huyện Nguyên Bình, Cao Bằng, người nông dân trồng chè tại đây không cho rằng rầy xanh là dịch hại. Ngược lại, chúng lại là yếu tố quan trọng giúp tạo ra loại trà được mệnh danh là nữ hoàng của các dòng trà. Đó là trà Đông phương mỹ nhân.
Những cây chè này sau khi bị rầy xanh cắn lại trở thành một loại trà quý hiếm. (Ảnh: Yêu Trà Việt)
Trên thực tế, trà Đông phương mỹ nhân là một loại trà nổi tiếng có nguồn gốc từ Đài Loan (Trung Quốc). Trang Baidu Trung Quốc thông tin, trà Đông Phương mỹ nhân vốn xuất hiện từ những năm cuối của thế kỷ 19. Sự ra đời của loại trà này bắt nguồn từ một lý do hết sức tình cờ.
Vào thời đó, Đài Loan (Trung Quốc) rất nổi tiếng với những sản phẩm trà thơm ngon. Tân Trúc là một nơi trồng rất nhiều loại chè đặc biệt. Vào mùa hè, hầu hết các đồi chè đều bị rầy xanh cắn phá. Những cây chè bị phá hoại đều bị các thương nhân từ chối thu mua vì cho rằng chúng đã hỏng và kém chất lượng.
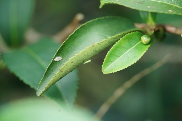
Có một người nông dân vì tiếc công sức chăm cây của mình, vẫn quyết định chế biến những lá chè bị rầy ăn này. Bất ngờ, những lá chè bị cắn lại tỏa ra mùi thơm dịu nhẹ vô cùng quyến rũ. Sau khi thành trà, ông ta đã đem trà này đến giới thiệu với một doanh nhân người Anh tên là John Dodd. Theo như lịch sử ghi lại, thương nhân John Dodd mang loại trà này về nước Anh và dâng lên cho hoàng gia làm quà thưởng thức. Sau khi nếm hương vị của trà, Nữ hoàng Anh – Elizabeth II thấy cánh trà như vũ nữ nhảy múa, nước trà thơm dịu tựa vẻ đẹp của thiếu nữ phương Đông, nên đặt tên là "Đông phương Mỹ nhân" (Oriental Beauty). Kể từ đó trà Đông Phương mỹ nhân đã làm mưa làm gió trên thị trường trà.
Những lá chè bị cắn lại tỏa ra mùi thơm dịu nhẹ vô cùng quyến rũ. (Ảnh: Trà bà Vân)
Theo một truyền thuyết khác, "Đông phương Mỹ nhân" là loại trà mỹ vị mà thần tiên thượng cẩn an bài cho nhân gian. Hàng năm, người ta chỉ hái lá chè trước và sau tiết Đoan Ngọ. Loại cây này sinh trưởng ở vùng tránh gió ẩm, đủ nắng, trong lành, không ô nhiễm. Lá ngon nhất là "nhất tâm nhị diệp" có vết cắn của "tiểu lục hiệp thiền" (tức một loại rầy xanh).
Ngoài cái tên Đông Phương mỹ nhân, trà này còn có tên gọi khác như Bái Hảo, Bạch Hào hay Bạch hạc Ô long, do thành phẩm vẫn còn giữ được lớp lông tơ trắng bao quanh búp non.
Sự kết hợp hoàn hảo
Trà Đông Phương mỹ nhân là sự kết hợp giữa Ô long và Hồng trà với mức độ oxy hóa từ 60-70%. Những búp trà phải là từ cây chè Ô long thuần chủng bị loại rầy xanh tên là Tea green leafhopper cắn để hút nhựa cây. Theo các nhà khoa học, có tới hơn 10 chủng rầy hại khác nhau, nhưng chỉ có vài loại rầy xanh tạo ra được trà Đông phương Mỹ nhân. Sau khi bị rầy xanh cắn, loại trà này có giá cao gấp 13 lần trà Ô long thường.
Để tạo thành trà Đông Phương mỹ nhân, những búp trà phải là từ cây chè Ô long thuần chủng bị loại rầy xanh tên là Tea green leafhopper cắn để hút nhựa cây. (Ảnh: Sohu)
Từ đặc điểm này ta có thể nhận thấy, những cây chè để sản xuất ra trà Đông Phương mỹ nhân phải được trồng trong môi trường hoàn toàn tự nhiên và không có hóa chất. Bởi loài rầy xanh kia chỉ có thể cắn phá tại những vùng chè không bị phun hóa chất. Như vậy, có thể nói, trà Đông Phương mỹ nhân là loại trà hữu cơ tự nhiên.
Ngoài ra những búp chè bị rầy xanh cắn sẽ chỉ mọc vào tháng 5 âm lịch và để thu hoạch được búp chè đạt yêu cầu cần phải hái thủ công bằng tay vào những giờ nhất định. Lúc thu hoạch chỉ hái búp và 2 lá non kế bên, thế nhưng chỉ 40-50% sản lượng lá thu hoạch được sử dụng.
Sau khi đã thu hái được búp chè cần phải thực hiện thêm nhiều công đoạn phức tạp khác. Bao gồm sao sấy rất công phu và tỉ mỉ dưới bàn tay của những người làm trà nhiều kinh nghiệm trong thời gian suốt 2 đến 3 ngày đêm không nghỉ. Chính vì nguyên liệu chế biến trà phụ thuộc hoàn toàn vào tự nhiên nên sản lượng của Đông Phương Mỹ Nhân khá hiếm và có giá thành tương đối cao. Xưa kia, từng có thời điểm 15kg trà Đông Phương mỹ nhân trị giá bằng cả căn nhà.

Thời xưa, từng có thời điểm 15kg trà Đông Phương mỹ nhân trị giá bằng cả căn nhà. (Ảnh: Ý Trà quán)
Sự thu hút của trà Đông Phương mỹ nhân nằm ở hương vị phảng phất mùi mật ngọt và trái cây chỉ có loại trà này mới có. Nước ngả màu hổ phách, vị ngọt mật thanh thoát. Theo phân tích của các chuyên gia, các lá chè bị rầy xanh cắn sẽ tiết ra những chất riêng để lành vết thương. Đồng thời, chúng cũng tiết ra chất có mùi hương đặc biệt để thu hút thiên địch của rầy xanh tới. Sau đó, hình dạng của lá sẽ bị biến đổi, màu của lá cũng ngả sang vàng, hương vị cũng chuyển thành mùi quả chín.
Trà Đông Phương mỹ nhân là một loại trà quý và cực kì được ưa chuộng bởi chất lượng tốt, hương vị đặc biệt và mang lại nhiều lợi ích cho sức khoẻ. Đối với phái đẹp, trà Đông Phương mỹ nhân mang đến một làn da tươi trẻ, đều màu và đầy sức sống bởi khả năng làm chậm quá trình lão hóa, cung cấp nhiều dưỡng chất cho da giúp ngăn ngừa sự hình thành nếp nhăn, cũng như chống viêm, ngừa mụn, giảm thâm.

Theo phân tích của các chuyên gia, các lá chè bị rầy xanh cắn sẽ tiết ra những chất riêng để lành vết thương. (Ảnh: Vô Ưu Trà)
Loại trà này còn giúp làm giảm mệt mỏi, đem lại sự thư giãn cho cơ thể trong suốt ngày dài. Trà Đông Phương mỹ nhân chứa nhiều chất Polyphenols chứa nhiều trong trà giúp cơ thể chống lại sự xâm nhập các gốc tự do. Sức khỏe tim mạch được nâng cao, khả năng kiểm soát hàm lượng Cholesterol xấu giúp ngăn ngừa bệnh tiểu đường, béo phì và đột quỵ. Ngoài ra, uống mỗi ngày một ly trà Đông Phương mỹ nhân còn có tác dụng rất lớn cho đường tiêu hóa, giúp quá trình trao đổi chất diễn ra nhanh hơn, cơ thể hấp thu tốt hơn.
Loại trà chỉ có ở vài tỉnh tại Việt Nam
Theo Vnexpress, tại Việt Nam, vùng núi cao Phja Đén nằm phía Đông Nam tỉnh Cao Bằng là nơi rất thích hợp để trồng những cây chè tạo ra loại trà Đông Phương mỹ nhân. Vị trí cô lập tạo ra vùng chè Kolia trên đỉnh Phja Đén tách biệt với các yếu tố xâm hại đến chất lượng cây trồng.
Trà Đông Phương mỹ nhân có xuất xứ từ Đài Loan, Trung Quốc. (Ảnh: Sohu)
Vùng chè này rộng 20ha nằm trên sườn núi ở độ cao từ 1.300m đến 1.900m so với mực nước biển. Nhiệt độ ban đêm nơi đây chưa bằng một nửa so với ban ngày; mùa đông, có khi xuống gần 0 độ C. Mức chênh lệch lớn khiến lá chè dày, xanh thẫm hơn các vùng chè thấp. Những chiếc lá dày hơn này có xu hướng tạo ra các loại trà đậm đà hơn với cảm giác miệng hơn thường đi kèm với một nốt hương bơ.
Với điều kiện khí hậu như vậy, quá trình chuyển hóa dưỡng chất của cây cũng diễn ra đặc biệt hơn. Nhiều chất được hình thành, tích tụ lại, ví dụ như acid amin theanin. Khi lá chè nhận đủ nắng, theanin sẽ biến đổi thành catechin và polyphenol. Tuy nhiên ở núi cao, nơi bị luân chuyển liên tục bởi ngày - đêm, sương - nắng, quá trình sinh học này thường xuyên gián đoạn, khiến hàm lượng theanin trong lá chè ở đây cao hơn các vùng khác.
Tại Việt Nam, vùng núi cao Phja Đén nằm phía Đông Nam tỉnh Cao Bằng là nơi rất thích hợp để trồng những cây chè tạo ra loại trà Đông Phương mỹ nhân. (Ảnh: Trà Ô long)
Trồng chè trên Phja Đén hầu như quanh năm không cần tưới nước bởi độ ẩm cao, mưa nhiều. Nước lẫn trong sương, đọng trên cỏ, thảm che phủ dưới chân dầy. Tháng nắng hạn mới dùng thêm nước tưới từ suối dẫn vào.
Nguồn phân bón cho cây chè chủ yếu từ phân các loài động vật và phế phẩm rau củ được nuôi trồng tại đây. Nhờ có hệ sinh thái cân bằng nên những loại sâu hại như rầy xanh, bọ trĩ… đều bị thiên địch tự nhiên kiểm soát.
Ngoài Phja Đén, các vùng trà như Lâm Đồng, Mộc Châu – Sơn La… cũng thành công trong việc trồng các cây chè tạo ra loại trà Đông Phương mỹ nhân nổi tiếng. (Ảnh: Trà Ô long)
Ngoài Phja Đén, kể từ năm 1990, các vùng chè như Lâm Đồng, Mộc Châu – Sơn La… ở Việt Nam cũng thành công trong việc trồng các cây chè tạo ra loại trà Đông Phương mỹ nhân nổi tiếng.
Hiện nay, sản lượng của trà Đông Phương mỹ nhân ở Việt Nam không nhiều, giá thành tương đối cao và chủ yếu được bán cho những người hâm mộ loại trà này. Hy vọng rằng trong tương lai, những cây chè Ô long cho ra loại trà Đông Phương mỹ nhân nổi tiếng ở Việt Nam sẽ thành công chinh phục thực khách, tạo dựng chỗ đứng vững mạnh trên thị trường trà trong nước và quốc tế.
